Promenade Gravel, Hanmer
Mise à jour du project
Préavis de travaux de construction- Le 2 avril 2026
Travaux techniques préliminaires
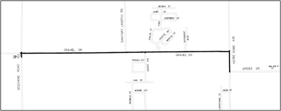
La Ville du Grand Sudbury mènera une étude préliminaire en vue des améliorations proposées à la conduite principale d’eau sur la promenade Gravel, à partir du chemin Deschene jusqu’à la promenade Linden, à Hanmer.
Ce projet fait partie du programme d’immobilisations approuvé par le Conseil municipal pour la promenade Gravel, à partir du puits Deschene jusqu’à la promenade Linden, en vue de l’installation d’une nouvelle conduite principale d’eau.
Quand le travail de conception détaillée aura commencé, les résidents recevront un avis par la poste durant les premières étapes du projet, lequel décrira les travaux prévus ayant été approuvés par le Conseil, présentera les membres de l’équipe du projet et procurera leurs coordonnées en vue des questions.
L’équipe du projet fournira d’autres détails aux résidents par avis et par lettres à mesure que le projet avance, notamment pour indiquer la date du début des travaux et les interruptions de services prévues qui pourraient directement les toucher ou toucher leur propriété.

Détails de l’étude:
- Marquer l’emplacement des services publics souterrains.
- Mener une étude des sols afin de déterminer les conditions du sous-sol.
- Utiliser des sondes pour mesurer la profondeur du sous-sol rocheux.
- Inspecter au moyen d’une caméra les égouts sanitaires.
Gestionnaire du projet:
Kevin Reynish
705-919-2089
Échéancier du projet:
- Préavis de travaux de construction- Le 2 avril 2026