Chemin High Falls - terminés
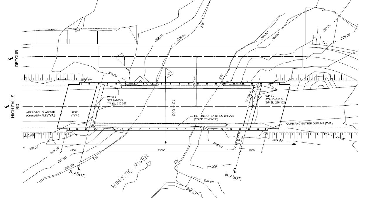
Remplacement de pont du chemin High Falls

La Ville du Grand Sudbury exécutera des travaux d’amélioration de la route sur le chemin High Falls, à 1,2 km au nord de la RM 5 (chemin Spanish River).
Voici les détails des travaux :
- Le remplacement du pont existant par un pont à poutres en béton préfabriqué.
- La construction d’un pont de déviation temporaire pour maintenir la circulation.
- L’installation de nouvelles glissières de sécurité et de mesures de protection des extrémités du pont à l’aide d’amortisseurs routiers.
- La thermorégénération (l’asphaltage) des approches du pont.
Date prévue de début : Été 2020
Date prévue de fin : Automne 2020
*Les délais peuvent changer.*
Les fichiers en lien avec ce projet sont les suivantes :
- Section - (en anglais seulement)
- Plan - (en anglais seulement)
- Lettre
- Avis de Travaux
- Préavis de travaux de construction
Le 24 mars 2020, la Province de l’Ontario a désigné l’industrie de la construction comme secteur essentiel. Les travaux prévus dans le budget d’immobilisations 2020 approuvé sont en cours et la Ville s’est engagée à réaliser les améliorations de l’infrastructure planifiées dans votre secteur.
Dans des circonstances normales, la Ville tiendrait des séances d’information publique pour expliquer ces projets et leur impact sur les communautés. Au lieu, nous publions les renseignements en ligne et nous demandons aux résidents d’examiner ces documents chez eux.
Les questions sur les travaux à venir peuvent être adressées à :
Gestionnaire de projet :
Jody Rybachuk
705 674-4455, poste 4493
jody.rybachuk@grandsudbury.ca